Service Guide

Get Ants Extermination Service

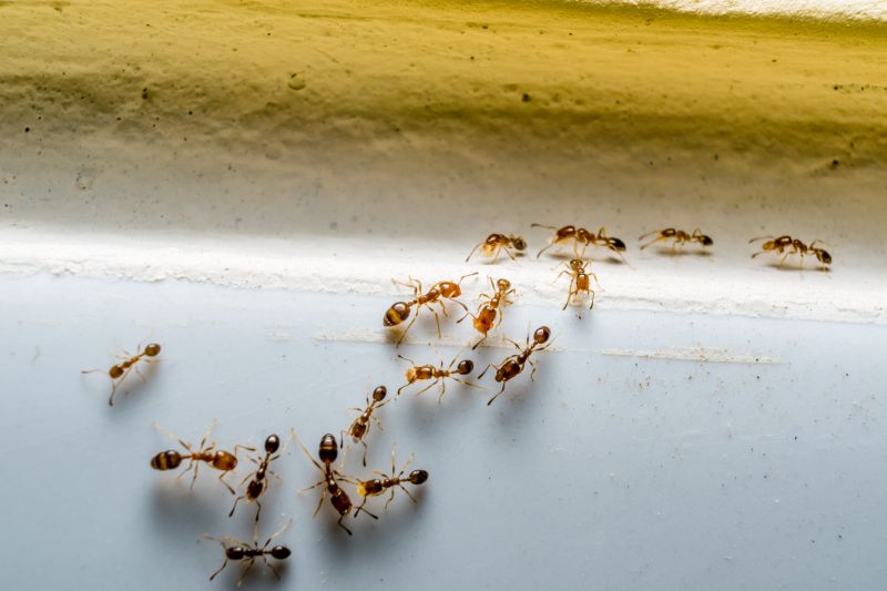
Local contractors provide ant extermination services to eliminate infestations and protect properties from damage caused by ants.

Ants extermination services are an important consideration for property owners dealing with persistent ant issues. Whether ants are invading indoor spaces or establishing colonies nearby, addressing these pests can help maintain a comfortable and clean environment. Local contractors specializing in ant control understand the specific challenges faced in the area and can offer tailored solutions to effectively manage infestations.

Exploring options for ant extermination can assist property owners in planning effective pest management strategies. Comparing services provided by nearby professionals can ensure that the chosen approach aligns with the needs of the property. Continuing to read can help identify qualified service providers who are experienced in handling ant problems efficiently and reliably.

Get Ants Extermination Service Quotes

  • Ants Extermination - needed when ants have invaded a home or business and require professional removal.
  • Ants Prevention - essential for property owners seeking to stop ant infestations before they begin.
  • Ants Inspection - useful for identifying the extent of an ant problem and determining the best treatment approach.
  • Ants Barrier Services - recommended when establishing a protective perimeter around a property to prevent ant entry.
  • Ants Treatment - appropriate for addressing active ant colonies and eliminating ongoing infestations.
Ants Extermination Service
Ants Extermination Service
Ants Extermination Service

Ants extermination services involve the identification and removal of ant infestations within residential and commercial properties. Service providers typically conduct thorough inspections to determine the extent of the problem and identify the specific ant species involved. Once the source of the infestation is located, they apply targeted treatments to eliminate the ants and prevent future invasions. These treatments may include the use of bait stations, insecticidal sprays, or barriers designed to disrupt the ants’ pathways and colony access points.

Ant problems often arise when ants find easy access to food, water, or shelter inside a property. Common signs include visible trails of ants, the presence of ant colonies near the foundation, or ants found inside kitchens, pantries, or bathrooms. These pests can quickly become a nuisance, especially when they invade food storage areas or establish colonies within walls or beneath flooring. Service providers help solve these issues by effectively eradicating the colonies and implementing measures to keep ants from returning, ensuring a cleaner and more comfortable living or working environment.

Various types of properties utilize ant extermination services, including single-family homes, apartment complexes, and commercial buildings such as restaurants or retail stores. Homes with gardens, landscaping, or nearby wooded areas are more vulnerable to ant invasions, especially during warmer months. Businesses that handle food products or serve customers on-site often seek professional treatment to maintain hygiene standards and prevent infestations that could impact their operations. Property owners and managers recognize the importance of prompt, professional intervention to address ant issues before they escalate.

Homeowners typically seek ant extermination services when noticing persistent trails, ant sightings inside the house, or signs of nests around the property’s exterior. These services are especially useful when DIY methods prove ineffective or when an infestation becomes severe. By working with experienced service providers, property owners can ensure that ant problems are thoroughly addressed, helping to restore comfort and prevent future invasions. Contacting local contractors for professional ant extermination can provide peace of mind and a more effective solution to these common pest issues.

The overview below groups typical Ants Extermination Service projects into broad ranges so you can see how smaller, mid-sized, and larger jobs often compare in your area.

In many markets, a large share of routine jobs stays in the lower and middle ranges, while only a smaller percentage of projects moves into the highest bands when the work is more complex or site conditions are harder than average.

Basic Ant Control - Most routine ant extermination jobs typically cost between $250 and $600. Many local contractors handle these standard treatments efficiently within this range. Larger or more stubborn infestations may push costs higher, up to around $1,200.

Spot Treatments - For targeted ant issues in specific areas, prices often fall between $150 and $400. These smaller projects are common and usually involve localized treatments rather than full property coverage. Extensive or multiple-site treatments can cost more, sometimes exceeding $500.

Full Property Extermination - Complete ant eradication for larger properties generally ranges from $600 to $2,000. Many service providers perform comprehensive treatments within this band, though very large or complex sites can reach $3,000 or more.

Ongoing Maintenance - Follow-up or preventative services typically cost between $200 and $800 per visit. This range covers routine inspections and seasonal treatments, with some projects requiring multiple visits that can add to the total cost over time.

Actual totals will depend on details like access to the work area, the scope of the project, and the materials selected, so use these as general starting points rather than exact figures.

Get a Quote

Pest Control for Cockroaches - professionals use similar inspection, treatment, and prevention techniques to eliminate and prevent infestations.

Spider Extermination Services - local contractors apply comparable planning and treatment methods to control spider populations indoors and outdoors.

Termite Treatment Projects - specialists utilize similar soil and wood treatment tools to protect structures from termite damage.

Rodent Control Services - experts employ comparable trapping and exclusion strategies to manage rodent infestations effectively.

Bed Bug Removal Projects - service providers use similar inspection and treatment planning to eradicate bed bug infestations.

Bee and Wasp Nest Removal - contractors handle nest removal using planning and safety techniques comparable to pest extermination efforts.

Ants Extermination Service

When evaluating potential service providers for ant extermination, it’s important to consider their experience with similar projects. Homeowners should look for local contractors who have a proven track record in handling ant control in residential settings. An experienced provider will understand the common challenges associated with ant infestations and be familiar with effective treatment methods, which can contribute to a more efficient and reliable service.

Clear, written expectations are a key factor in choosing the right professional. Homeowners should seek out providers who can outline the scope of work, treatment procedures, and any follow-up measures in a detailed, written format. This transparency helps ensure that both parties have a shared understanding of the process, reducing the chances of misunderstandings or unmet expectations down the line.

Reputable references and effective communication are also essential when comparing local contractors. Potential service providers should be able to provide references from previous clients or demonstrate a history of successful ant control projects in the area. Additionally, good communication-whether through timely responses, clarity in explanations, or responsiveness to questions-can make the entire experience smoother. It’s worth noting that this site functions solely as a resource to introduce homeowners to local pros; it does not perform the work itself.

Get an Ants Extermination Service Quote

Property owners use Ants Extermination Service services for practical projects around their homes and businesses. This guide focuses on everyday jobs and straightforward project options.

Ants Extermination Service
Ants Extermination Service

Ants can become a common nuisance in residential and commercial properties, especially during warmer months or after heavy rains. Property owners might notice ant trails around kitchens, basements, or outdoor areas, prompting them to seek professional assistance to eliminate the infestation and prevent future visits. Local contractors specializing in ant extermination can assess the situation, identify the source of the problem, and implement effective treatment plans to restore comfort and hygiene to the space.

In many cases, ant problems arise from easy access points like cracks, gaps, or poorly sealed entryways. Property owners may look for experienced service providers to handle these issues, especially when DIY methods prove ineffective. Local pest control experts are equipped to provide targeted solutions that address both the immediate ant presence and underlying entry points, helping to keep properties ant-free and protected over the long term.

Get an Ants Extermination Service Quote

How do local contractors identify ant infestations? They typically perform a thorough inspection of the property to locate ant trails, nests, and entry points, helping determine the extent of the infestation.

What methods do service providers use to eliminate ants? Local professionals often use targeted treatments such as baits, dusts, and liquid insecticides to effectively control ant populations.

Are there specific types of ants that extermination services address? Yes, service providers are equipped to handle common household ants like carpenter ants, odorous house ants, and pavement ants.

What steps do contractors recommend to prevent future ant problems? They typically suggest sealing entry points, removing food sources, and maintaining cleanliness to reduce the likelihood of re-infestation.

How can I find local pros specializing in ant extermination? You can contact a lead generation service to connect with nearby service providers experienced in ant control solutions.

Ants Prevention Tips - Property owners can learn practical ways to reduce ant attractants around their homes, such as sealing entry points and removing food sources.

Ants Inspection Services - Homeowners can schedule inspections to identify ant activity early and determine the most effective treatment options.

Ants Treatment Solutions - Property owners can explore different treatment methods offered by local contractors to effectively manage ant infestations.

Ants Maintenance Advice - Residents can receive guidance on ongoing maintenance practices to keep ants from returning to their property.

Ants Extermination Service

If you are thinking about Ants Extermination Service for a property, this guide is meant to help you understand the work, the typical project types, and how different options might fit your plans.

When you are ready, you can use the quote form on this page to share a few details about your project. From there, local pros can review the basics and respond with options that match what you have in mind.

Get a Quote

Ants Extermination Quotes

Our Trusted Partners
Protector Pest Solutions
Cleveland Chemical Pest Control Service
Peppermint Pest Control